Ordenar resultados por:
- Relevancia
- Novedad
- Precio Mayor
- Precio Menor
- Más metros
- Menos metros
Selecciona una provincia
Selecciona una zona
Selecciona uno o varios municipios
1
1 Terreno en venta para invertir
1 terreno en venta para invertir
Mostrando resultados según tus filtros aplicados
Tu cuenta
Entra con tu email y contraseña para tener acceso directo a tu cuenta:
Tu cuenta
Identifícate con tu email y contraseña para tener acceso directo a:
Tu perfil
Tus favoritos
Tus búsquedas guardadas
Subastas exclusivas
¿Eres usuario particular? Accede como particular
Tu cuenta
Identifícate y aprovecha todas las ventajas de guardar tu inmuebles favoritos
Descarga la lista de favoritos en PDF
Añade notas y comentarios a tus inmuebles favoritos
Guarda búsquedas y entérate de oportunidades en la zona
¿Eres usuario particular? Accede como particular
Tu cuenta
Entra en tu cuenta y aprovecha todas las ventajas de guardar tus inmuebles favoritos.
Marca tus inmuebles favoritos
Te informaremos si bajan de precio
Añade notas y comentarios
Te avisaremos si se dan de baja
Tu cuenta
Identifícate y aprovecha todas las ventajas de guardar tus alertas de búsqueda:
Recibe alertas de nuevos inmuebles
Guarda favoritos y descarga la lista en PDF
Tu perfil con los inmuebles que te han interesado
¿Eres usuario particular? Accede como particular
Tu cuenta
Para disfrutar del Dosier Comercial regístrate en Servihabitat. Además, desde tu cuenta podrás gestionar:
Tu perfil
Tus favoritos
Tus búsquedas guardadas
Subastas exclusivas
¿Eres usuario particular? Accede como particular
Tu cuenta
¿Eres usuario particular? Accede como particular
Promoción comercial
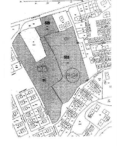
Urbano no consolidado en venta
975.000 €
- 25.325m2
Incluye otros inmuebles
- 25.325m2
- Residencial
Incluye otros inmuebles
Urbano no consolidado en venta en Sector Unidad De Ejecucion Ue 6, Bastida / Labastida, Araba
Tu cuenta
Entra con tu email y contraseña para tener acceso directo a tu cuenta:
Tu cuenta
Identifícate con tu email y contraseña para tener acceso directo a:
Tu perfil
Tus favoritos
Tus búsquedas guardadas
Subastas exclusivas
¿Eres usuario particular? Accede como particular
Tu cuenta
Identifícate y aprovecha todas las ventajas de guardar tu inmuebles favoritos
Descarga la lista de favoritos en PDF
Añade notas y comentarios a tus inmuebles favoritos
Guarda búsquedas y entérate de oportunidades en la zona
¿Eres usuario particular? Accede como particular
Tu cuenta
Entra en tu cuenta y aprovecha todas las ventajas de guardar tus inmuebles favoritos.
Marca tus inmuebles favoritos
Te informaremos si bajan de precio
Añade notas y comentarios
Te avisaremos si se dan de baja
Tu cuenta
Identifícate y aprovecha todas las ventajas de guardar tus alertas de búsqueda:
Recibe alertas de nuevos inmuebles
Guarda favoritos y descarga la lista en PDF
Tu perfil con los inmuebles que te han interesado
¿Eres usuario particular? Accede como particular
Tu cuenta
Para disfrutar del Dosier Comercial regístrate en Servihabitat. Además, desde tu cuenta podrás gestionar:
Tu perfil
Tus favoritos
Tus búsquedas guardadas
Subastas exclusivas
¿Eres usuario particular? Accede como particular
Tu cuenta
¿Eres usuario particular? Accede como particular
¿No has encontrado lo que buscas?
Si no has encontrado lo que buscabas, puedes ver más opciones como estas aquí.
Ver más inmueblesMás información sobre invertir en terrenos en Cuadrilla De Laguardia-rioja Alavesa.
Si eres un inversor inmobiliario y buscas terrenos en Cuadrilla De Laguardia-rioja Alavesa, tenemos 1 opción disponible a partir de un precio de 975.000 €. Cada rincón de este lugar tiene su esencia y características únicas que ofrecen una experiencia inigualable. Álava, es conocida por sus espacios verdes, como el Parque de la Florida y el Anillo Verde. La economía local se impulsa por la industria y el comercio. La calidad de vida se percibe en cada rincón, con una mezcla de sabores vascos tradicionales y arquitectura contemporánea. Álava, con sus viñedos y bodegas, es un lugar apacible y lleno de historia.
1 terreno en venta para invertir en CUADRILLA DE LAGUARDIA-RIOJA ALAVESA
¿Qué tipo de terrenos buscas?
Otras oportunidades inmobiliarias
¿No encuentras lo que buscas?
Descubre las mejores opciones de terrenos en venta en Servihabitat
Sobre tu privacidad
Utilizamos cookies propias y de terceros para fines analíticos y mejorar la funcionalidad de nuestra web y/o mostrarle contenidos personalizados en base al perfil que hemos elaborado en función de sus hábitos de navegación. Al pulsar en “Aceptar todas” se entiende que ha sido informado y acepta la instalación y uso de todas las cookies seleccionadas. Puede pulsar “Configurar Cookies” para configurar o rechazar las cookies. Para más información o deshabilitar las cookies en cualquier momento visite nuestra Política de cookies.
Configura las cookies
¿Qué son las cookies?
Cualquier sitio web que visites puede almacenar o recuperar información en tu navegador, principalmente a través de las cookies. Esta información puede ser sobre ti, tus preferencias o tu dispositivo y se utiliza pricipalmente para hacer que el sitio funcione como esperas que lo haga. La información no suele identificarte directamente, pero sí puede ofrecerte una experiencia web más personalizada. Respetamos tu derecho a la intimidad, de modo que puedes negarte a admitir determinados tipos de cookies. Haz clic en los diferentes títulos de las categorías para obtener más información y cambiar nuestra configuarción predeterminada. Sin embargo, bloquear algunos tipos de cookies puede afectar a tu experiencia con el sitio y los servicios que te podemos ofrecer.
Optando por "Guardar selección" sin haber seleccionado ninguna cookie, quedarán rechazadas cookies distintas a las necesarias.
Cookies técnicas
Estas cookies permiten las funciones básicas y son necesarias para el correcto uso de la página web, en tanto que permite navegación en la página y utilizar las diferentes opciones o servicios que tiene. Con ellas podemos, por ejemplo, identificarte durante la sesión, darte acceso a partes de acceso restringido, y utilizar elementos de seguridad durante tu navegación.
Cookies de preferencias
Estas cookies permiten la experiencia del usuario y almacenar sus preferencias. Por ejemplo, son aquellas cookies que guardan tus preferencias de búsqueda del sitio.
Cookies de medición
Estas cookies permiten contar las visitas y las fuentes de tráfico para poder medir y mejorar el rendimiento de la página web. Usamos estas cookies a fin de mejorar el servicio ofrecido a los usuarios. Toda la información recogida por estas cookies es agregada y, por lo tanto, anónima.
Cookies de publicidad
Estas cookies de nuestros socios publicitarios se utilizan para poder ofrecerle publicidad que pueda ser de su interés, para poder recibir mensajes personalizados y compartir sus datos con las herramientas publicitarias de Google. En caso de no haber aceptado estas cookies, los anuncios seguirán mostrándose, pero dejarán de estar personalizados.